Local Service Overview

Get Black Ant Extermination in Justin, TX

Black Ant Extermination services for property owners in Justin, TX, and nearby areas address ant infestations, prevent future invasions, and handle residential and commercial pest control projects.

Justin, TX

Black ant extermination services are a practical solution for property owners in Justin, TX seeking to maintain a comfortable and safe environment. Ant infestations can disrupt daily routines, damage structures, and create unsanitary conditions, making professional removal a valuable step toward restoring peace of mind. By addressing these pests effectively, property owners can enjoy a more functional living or working space while reducing the likelihood of future invasions.

Engaging with local extermination providers offers benefits such as enhanced curb appeal and reduced maintenance needs. Property owners often look for durable pest control solutions that deliver long-lasting results, helping to preserve the integrity of their property’s exterior and interior. With professional assistance, residents and business owners can enjoy a safer, more attractive environment that requires fewer ongoing interventions.

Get Black Ant Extermination Quotes

  • Ant Extermination - needed when black ants invade kitchens, pantries, or outdoor areas around your home.
  • Indoor Black Ant Control - required if ants are spotted inside living spaces or near entry points in your residence.
  • Outdoor Black Ant Management - appropriate when ant colonies are established in lawns, gardens, or around the foundation of properties.
  • Commercial Black Ant Services - necessary for businesses experiencing ant infestations that threaten cleanliness or customer experience.
  • Preventive Black Ant Treatments - useful for homeowners seeking to stop ant problems before they start in residential or commercial settings.

Get Black Ant Extermination Quotes

Black Ant Extermination
Black Ant Extermination
Black Ant Extermination

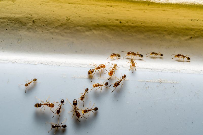
Black ant extermination services are designed to eliminate infestations of black ants from residential and commercial properties. These services typically involve thorough inspections to identify the extent of the ant problem, followed by targeted treatment methods that may include the application of insecticides or baiting systems. The goal is to reduce or eradicate black ant populations, preventing them from causing further nuisance or property damage. Professionals use specialized tools and products to ensure that treatments are effective while minimizing impact on the environment and non-target areas.

Black ant problems often manifest as large colonies that invade kitchens, pantries, and other areas where food is stored or prepared. These ants can be persistent, forming trails that lead to food sources and nesting sites within walls, under floors, or in outdoor spaces. Infestations can lead to contamination of food supplies and create unsightly or unhygienic conditions. Exterminating black ants helps to address these issues by disrupting their colonies and preventing future invasions, thereby maintaining a cleaner and more comfortable living or working environment.

Properties that commonly seek black ant extermination services include homes, apartment complexes, restaurants, and retail stores. Residential properties often experience black ant activity in kitchens, basements, or gardens, especially during warmer months. Commercial establishments such as restaurants and food stores prioritize pest control to meet health standards and protect their reputation. Additionally, warehouses or storage facilities may request extermination services to safeguard inventory from ant damage and contamination. These services are tailored to the specific needs of each property type to ensure effective pest management.

Professional black ant extermination services provide a comprehensive approach to managing ant infestations. They focus on identifying the source of the problem and applying appropriate treatment methods to eliminate colonies. Regular inspections and follow-up treatments may be recommended to prevent re-infestation and maintain pest-free conditions. By utilizing local pest control providers, property owners can access tailored solutions designed to address the unique challenges of black ant infestations in various property types and locations.

The overview below groups typical Black Ant Extermination projects into broad ranges so you can see how smaller, mid-sized, and larger jobs often compare in Justin, TX.

In many markets, a large share of routine jobs stays in the lower and middle ranges, while only a smaller percentage of projects moves into the highest bands when the work is more complex or site conditions are harder than average.

Initial Inspection and Treatment - Cost typically ranges from $150 to $300 for a professional black ant inspection and initial treatment. Prices vary based on the size of the property and severity of infestation.

Perimeter Pest Control - Ongoing perimeter treatments to prevent black ant entry generally cost between $50 and $100 per visit. The frequency of service can influence overall expenses.

DIY Treatment Costs - Do-it-yourself black ant extermination products usually cost between $10 and $30 for sprays, baits, or powders. These options are less expensive but may vary in effectiveness.

Comprehensive Pest Management - Full-service pest management plans for black ants can range from $200 to $600 annually. These plans often include multiple treatments and inspections to control the infestation.

Actual totals will depend on details like access to the work area, the scope of the project, and the materials selected, so use these as general starting points rather than exact figures.

Get a Black Ant Extermination Quote

Black Ant Extermination services are essential for eliminating infestations in residential and commercial properties, helping to restore safety and hygiene. Local pest control providers offer tailored solutions to effectively remove black ants from various environments.

Black Ant Removal specialists focus on identifying ant colonies and applying targeted treatments to prevent future invasions. Connecting with experienced exterminators ensures a thorough and reliable approach.

Ant Prevention Services include strategies to deter black ants from entering properties, such as sealing entry points and implementing ongoing monitoring. Local experts provide advice and treatments to maintain pest-free spaces.

Residential Ant Control services address black ant issues within homes, protecting living areas from damage and discomfort. Local pest control providers offer customized solutions for household infestations.

Commercial Ant Extermination services help businesses manage black ant problems that can impact operations and customer experience. Experienced providers deliver effective treatments suitable for various commercial settings.

Infestation Inspection and Monitoring services involve thorough assessments to detect black ant presence and prevent larger outbreaks. Connecting with local pros ensures ongoing pest management and control.

Black Ant Extermination

When choosing a professional for black ant extermination, it’s important to consider the experience and track record of local service providers. Homeowners should look for pros who have extensive experience handling ant infestations similar to their specific situation, as this can indicate familiarity with effective treatment methods. Reputable providers often have a history of successful projects within the community, and some may be able to provide references or testimonials from previous clients, offering insight into their reliability and quality of work.

Clear communication and well-defined written expectations are key factors when evaluating local pros. Homeowners should seek providers who offer detailed explanations of their services, including the methods used and any preparations needed beforehand. A professional who communicates openly and promptly can help ensure that the homeowner understands what to expect, reducing potential misunderstandings or surprises during the process. Establishing a clear scope of work upfront can contribute to a smoother experience.

Lastly, the reputation of local ant extermination providers can often be gauged through trusted references and community feedback. Homeowners are encouraged to inquire about previous clients’ experiences or seek recommendations from neighbors or friends who have used similar services. Reputable providers typically maintain a positive standing within the community, which can be an indicator of consistent service quality. Since the platform introduces local options rather than performing the work itself, it’s important for homeowners to evaluate these providers independently to find a professional that aligns with their specific needs and expectations.

Get a Black Ant Extermination Quote

Property owners in Justin, TX use Black Ant Extermination services for practical projects around their homes and businesses. The sections below highlight everyday jobs and straightforward project options.

Black Ant Extermination
Black Ant Extermination

Black ant extermination services are often sought by property owners in Justin, TX, dealing with persistent ant infestations that threaten the comfort and cleanliness of their homes or businesses. Common situations include noticing large numbers of ants inside the building, discovering nests near foundations, or observing ant trails across indoor and outdoor spaces. Local service providers can help identify the source of the problem and implement targeted treatment plans to address ongoing ant activity effectively.

Property owners may also look for black ant extermination when ant activity begins to cause damage or contamination, particularly in food storage or preparation areas. In addition, those experiencing recurring ant issues despite previous attempts at control may seek professional assistance to establish a more reliable solution. Connecting with local extermination specialists can help ensure that ant problems are managed efficiently and safely.

Get a Black Ant Extermination Quote

Why are black ants attracted to my home? Black ants are drawn to food sources, moisture, and shelter, making homes and kitchens common areas for infestations.

How can I prevent black ant infestations? Keeping food sealed, fixing leaks, and maintaining cleanliness can reduce attractants that draw black ants indoors.

What methods do pest control professionals use to eliminate black ants? Local service providers may use baits, barriers, or targeted treatments to control and remove black ant populations.

Are black ants dangerous to humans or pets? Black ants are generally not harmful, but they can contaminate food and cause minor nuisance issues.

How long does black ant extermination typically take? The duration varies based on the extent of the infestation and the treatment methods used by local professionals.

Black Ant Extermination Techniques - Local pest control providers utilize a variety of methods to effectively eliminate black ants from residential and commercial properties.

Preventive Black Ant Treatments - Professionals offer advice and services to help reduce the likelihood of future ant infestations through targeted barrier treatments.

Signs of Black Ant Infestation - Identifying common indicators such as trails and nests can help determine when to seek professional extermination assistance.

Choosing a Black Ant Exterminator - Connecting with experienced local service providers ensures effective and safe removal of black ants from the property.

Black Ant Extermination

Considering Black Ant Extermination for a property in Justin, TX? The sections above highlight common project types, practical options, and details that often shape the scope of work.

When you are ready, use the quote form to share a few details about your project. Local pros can review the basics and respond with options that match what you have in mind.

Get a Black Ant Extermination Quote

Black Ant Extermination Quotes

Our Trusted Partners
Cantu Pest Control
Orkin
Hawx Pest Control