Local Service Overview

Get Ants Extermination Service in Gunter, TX

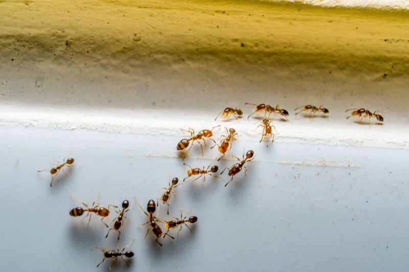
Ants extermination services for property owners in Gunter, TX, and nearby areas address ant infestations, prevent future invasions, and handle residential or commercial pest control projects.

Gunter, TX

Ants extermination services are a practical solution for property owners in Gunter, TX who want to maintain a comfortable and safe living environment. Infestations can disrupt daily routines, damage structures, and pose health concerns, making professional treatment essential for effective control. Local service providers focus on eliminating colonies efficiently, helping to preserve the functionality and durability of a property while reducing ongoing maintenance needs.

Choosing expert ant extermination can also enhance curb appeal by preventing unsightly trails and nests from appearing around a home or business. Property owners often seek these services to ensure their outdoor spaces remain inviting and well-maintained. Reliable extermination efforts contribute to a safer, more enjoyable environment, giving residents confidence in the long-term protection of their property.

Get Ants Extermination Service Quotes

  • Ants Extermination Services

  • Ant infestation removal - needed when ants invade residential or commercial spaces in Gunter, TX and nearby areas.
  • Pre-construction ant prevention - useful for property owners seeking to prevent ant problems before construction begins.
  • Seasonal ant control - appropriate during peak ant activity periods to reduce ongoing infestations.
  • Emergency ant treatment - required when ant colonies suddenly become a major nuisance or health concern.
  • Ant trail and nest elimination - necessary for targeting specific ant colonies in yards, gardens, or building foundations.

Get Ants Extermination Service Quotes

Ants Extermination Service
Ants Extermination Service
Ants Extermination Service

Ants extermination services involve identifying and eliminating ant infestations within residential, commercial, and industrial properties. These services typically include thorough inspections to locate ant colonies and entry points, followed by targeted treatment methods designed to eradicate the pests. Service providers may use a combination of baiting systems, insecticidal dusts, sprays, and barrier treatments to effectively control and prevent future ant problems. The goal is to create a pest-free environment by addressing both the visible ants and their hidden nests.

Ant infestations can cause a variety of issues for property owners. Beyond the nuisance of swarms and trails, ants can contaminate food supplies, damage structures, and create unsanitary conditions. Certain species, such as carpenter ants, are known to compromise wood structures, leading to costly repairs if left unchecked. Extermination services help mitigate these problems by removing the source of the infestation and implementing preventative measures to reduce the likelihood of recurrence.

The types of properties that commonly utilize ants extermination services include single-family homes, apartment complexes, restaurants, and office buildings. Residential properties often seek treatment to protect food storage areas and maintain a comfortable living environment. Commercial properties, especially those involved in food handling or service, prioritize pest control to adhere to health standards and avoid disruptions. Industrial facilities may also require specialized treatments to safeguard large-scale operations from ant-related issues.

Professional ant extermination services provide tailored solutions based on the severity of the infestation and the specific environment of each property. Local service providers assess the unique needs of each property and develop treatment plans that target the affected areas effectively. Whether dealing with minor nuisance ants or severe infestations, property owners can seek assistance from experienced professionals to restore pest-free conditions and prevent future invasions.

The overview below groups typical Ants Extermination Service projects into broad ranges so you can see how smaller, mid-sized, and larger jobs often compare in Gunter, TX.

In many markets, a large share of routine jobs stays in the lower and middle ranges, while only a smaller percentage of projects moves into the highest bands when the work is more complex or site conditions are harder than average.

Initial Inspection - The cost for a thorough ant infestation assessment typically ranges from $50 to $150. This fee often covers a detailed inspection of affected areas in Gunter, TX, and nearby locations.

Perimeter Treatment - Applying ant barrier treatments usually costs between $100 and $300 for residential properties. The price varies based on the size of the property and extent of the infestation.

Spot Treatments - Targeted spot treatments for localized ant nests generally fall within the $75 to $200 range. These treatments are suitable for specific problem areas identified during inspection.

Ongoing Service Plans - Regular maintenance plans can cost from $50 to $150 per visit, with prices depending on the frequency of visits and property size in Gunter, TX. These plans aim to prevent future ant issues effectively.

Actual totals will depend on details like access to the work area, the scope of the project, and the materials selected, so use these as general starting points rather than exact figures.

Get an Ants Extermination Service Quote

Ants Extermination - Local pest control providers offer specialized services to eliminate ant infestations in residential and commercial properties. They utilize targeted treatments to address specific ant species and prevent future issues.

Ants Inspection Services - Professionals conduct thorough inspections to identify ant entry points, nesting sites, and infestation severity, helping to determine the most effective extermination strategies.

Ants Prevention Solutions - Service providers implement preventative measures such as sealing entry points and advising on sanitation practices to reduce the likelihood of ant re-infestation.

Ants Baiting and Trapping - Local pros set up bait stations and traps to effectively control ant populations, especially in hard-to-reach areas, minimizing the use of harsh chemicals.

Ants Removal for Commercial Properties - Commercial pest control specialists offer tailored ant extermination services to protect businesses from infestations that could impact operations or reputation.

Ants Emergency Extermination - Emergency pest control providers respond promptly to severe ant infestations, providing immediate solutions to mitigate property damage and nuisance.

Ants Extermination Service

When selecting a local pest control professional for ant extermination services, it’s important to consider the experience and background of the providers in the area. Many local pros have extensive knowledge of ant species common to regions like Gunter, TX, and surrounding communities, which can contribute to effective treatment strategies. Homeowners are encouraged to review the credentials and track records of potential service providers to ensure they have a history of successfully managing ant issues similar to their own.

Clear communication and well-defined expectations are essential when working with a pest control specialist. Reputable local providers typically offer detailed explanations of their treatment approaches, what homeowners can expect during and after the service, and any necessary follow-up steps. Establishing open lines of communication can help ensure that homeowners feel informed and comfortable throughout the process, reducing uncertainties and fostering a positive service experience.

Reputable references and reviews from other homeowners in the area can serve as valuable indicators of a local pest control professional’s reliability and quality of work. Local pros often have established relationships within the community, and many can provide references or testimonials upon request. When comparing options, homeowners should prioritize providers known for responsive communication, transparency, and a history of satisfied clients, which can contribute to a smoother and more predictable ant extermination experience.

Get an Ants Extermination Service Quote

Property owners in Gunter, TX use Ants Extermination Service services for practical projects around their homes and businesses. The sections below highlight everyday jobs and straightforward project options.

Ants Extermination Service
Ants Extermination Service

Ants extermination services are commonly sought after by property owners in Gunter, TX when ants become a persistent nuisance inside or around their homes. Common situations include noticing ant trails in kitchens or bathrooms, finding nests in yards, or experiencing an increase in ant activity during warmer months. Local professionals can provide targeted treatments to eliminate ant colonies and help restore a pest-free environment.

Homeowners may also look for ant extermination when preparing for events or seasonal changes that can trigger ant activity. In addition, property owners often seek assistance after attempting DIY solutions that prove ineffective or when ants begin to invade stored food or other areas of the house. Connecting with local service providers ensures access to effective pest control options tailored to the specific needs of properties in Gunter, TX.

Get an Ants Extermination Service Quote

What methods do ant extermination services use? Local pest control providers typically use a combination of baiting, trapping, and targeted treatments to eliminate ant colonies effectively.

Are ant extermination treatments safe for my family and pets? Most local pros employ methods designed to minimize risks, but it’s best to discuss safety concerns directly with the service provider when contacting them.

How long does an ant extermination treatment usually last? The duration of effectiveness varies based on the treatment type and ant activity, so consulting with a local expert can provide specific insights.

Will I need multiple treatments to control an ant infestation? Some situations may require more than one visit, depending on the severity of the infestation and the species involved.

How can I prevent future ant problems? Local ant control specialists can offer advice on sanitation, sealing entry points, and ongoing monitoring to help prevent future invasions.

Ants Extermination Solutions - Local pest control providers offer targeted treatments to eliminate ant colonies and prevent future invasions.

Inspection and Identification - Pros can assess property conditions to identify ant entry points and nesting areas for effective treatment plans.

Preventative Strategies - Service providers can recommend and implement measures to reduce attractants and block ant access to the property.

Ongoing Monitoring - Local experts can provide follow-up services to ensure ants do not return and to address any new infestations promptly.

Ants Extermination Service

Considering Ants Extermination Service for a property in Gunter, TX? The sections above highlight common project types, practical options, and details that often shape the scope of work.

When you are ready, use the quote form to share a few details about your project. Local pros can review the basics and respond with options that match what you have in mind.

Get an Ants Extermination Service Quote

Ants Extermination Quotes

Our Trusted Partners
Cantu Pest Control
Orkin
Hawx Pest Control