Local Service Overview

Get Ants Extermination Service in Coppell, TX

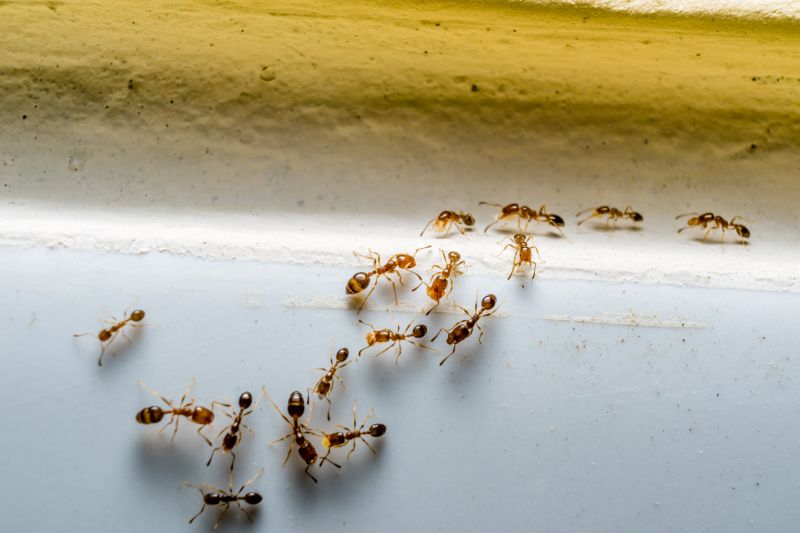
Ants extermination services for Coppell, TX, property owners address ant infestations, eliminate colonies, and handle residential and commercial ant control projects.

Coppell, TX

Ants extermination services in Coppell, TX provide property owners with an effective solution to manage and eliminate ant infestations. By addressing these pests promptly, homeowners can maintain a clean and comfortable living environment, free from the disruptions and potential damage caused by ants. These services often focus on creating a barrier that prevents future invasions, helping to preserve the functionality and durability of structures while reducing the need for ongoing maintenance.

Choosing professional ant extermination can also enhance curb appeal by ensuring outdoor spaces and entry points remain tidy and pest-free. Property owners typically seek the reassurance that their homes and yards are safeguarded against ant problems, which in turn supports a safe and inviting atmosphere. Engaging experienced service providers offers a practical approach to maintaining a pest-free property, contributing to long-term comfort and peace of mind.

Get Ants Extermination Service Quotes

  • Ants Infestation - when ants invade kitchens, pantries, or other indoor spaces in residential or commercial properties.
  • Ants Control - in cases where ant colonies have spread across lawns, gardens, or outdoor areas near homes in Coppell, TX.
  • Ants Prevention - to establish barriers and deterrents around properties to prevent future ant invasions.
  • Ants Extermination - when persistent ant problems require targeted treatment to eliminate colonies inside or around structures.
  • Ants Inspection - to identify the extent of ant activity and determine the best treatment plan for homes and businesses nearby.

Get Ants Extermination Service Quotes

Ants Extermination Service
Ants Extermination Service
Ants Extermination Service

Ants extermination services involve identifying and eliminating ant infestations within residential, commercial, or industrial properties. Professionals typically conduct thorough inspections to locate nests and entry points, then apply targeted treatments to remove existing colonies. These services often include the use of specialized baits, insecticides, and barriers designed to eradicate ants effectively and prevent future invasions. The goal is to address the root of the problem, ensuring that the ants are eliminated from the property and that conditions conducive to their return are minimized.

Ant infestations can cause various problems for property owners. In addition to the nuisance of having ants crawling across surfaces, some species can contaminate food supplies or damage structures, especially if they establish nests within walls or foundations. Certain types of ants, such as carpenter ants, are known to cause structural damage by hollowing out wood. Exterminating ants promptly can help reduce these issues, prevent potential property damage, and maintain a clean and hygienic environment.

The services are commonly sought for a variety of property types, including single-family homes, apartment complexes, restaurants, and retail stores. Residential properties often require ant extermination to protect food storage areas and maintain comfort. Commercial establishments, especially those involved in food service or hospitality, prioritize pest control to meet health standards and avoid disruptions. Additionally, property managers and landlords may utilize these services to uphold property value and ensure tenant satisfaction by maintaining pest-free environments.

Professional ant extermination services are tailored to the specific needs of each property. Local pest control providers assess the extent of the infestation, the type of ants involved, and the property’s layout to develop an effective treatment plan. These services often include ongoing monitoring and preventative measures to reduce the likelihood of future invasions. By partnering with experienced service providers, property owners can effectively manage ant problems and maintain a pest-free environment.

The overview below groups typical Ants Extermination Service projects into broad ranges so you can see how smaller, mid-sized, and larger jobs often compare in Coppell, TX.

In many markets, a large share of routine jobs stays in the lower and middle ranges, while only a smaller percentage of projects moves into the highest bands when the work is more complex or site conditions are harder than average.

Initial Inspection - Cost for an ant inspection typically ranges from $50 to $150, depending on the property size and complexity. Some providers may include a basic assessment as part of a service package.

One-Time Treatment - A single ant extermination treatment usually costs between $100 and $300. Larger homes or severe infestations might incur higher fees within this range.

Ongoing Pest Management - Monthly or quarterly ant control plans can cost from $40 to $100 per visit, with discounts often available for long-term contracts. These plans aim to prevent future infestations.

Additional Services - Extra services such as bait station installation or perimeter treatments typically add $50 to $200 to the overall cost, depending on the extent of the treatment area.

Actual totals will depend on details like access to the work area, the scope of the project, and the materials selected, so use these as general starting points rather than exact figures.

Get an Ants Extermination Service Quote

Ants Extermination - Local pest control providers offer specialized services to eliminate ant infestations in residential and commercial properties in Coppell, TX. They utilize targeted treatment methods to address different ant species effectively.

Ants Prevention - Service providers can implement preventive measures to reduce the likelihood of future ant problems, including barrier treatments and property inspections.

Indoor Ant Control - Professionals focus on treating indoor areas where ants have entered, using safe and effective solutions to remove colonies and prevent re-entry.

Outdoor Ant Control - Experts apply treatments to outdoor spaces such as yards and gardens to eliminate ant colonies at the source and protect the property perimeter.

Ant Nest Removal - Local pros identify and remove ant nests from lawns, walls, or underground locations to effectively control infestations.

Ant Inspection Services - Pest control specialists conduct thorough inspections to assess ant activity and recommend appropriate treatment plans for homeowners and businesses.

Ants Extermination Service

When selecting a professional for ant extermination services, it’s important to consider their experience in handling ant infestations within residential settings. Homeowners should look for local service providers who have a proven track record in effectively managing ant problems, as familiarity with regional ant species and common entry points can influence the success of the treatment. Reputable local pros often highlight their experience through their service offerings or informational materials, helping homeowners gauge their expertise in addressing specific ant issues.

Clear communication and well-defined expectations are key when working with pest control providers. Homeowners should seek out local pros who provide detailed information about their methods, what the treatment process entails, and any necessary preparations or follow-up steps. Transparent communication helps ensure that homeowners understand what to expect from the service and can plan accordingly, reducing potential misunderstandings or surprises during the extermination process.

Reputable references and positive feedback from previous clients can serve as valuable indicators of a local service provider’s reliability. Homeowners are encouraged to inquire about references or seek out reviews to verify the quality of service and professionalism. Additionally, establishing open lines of communication with local pros can facilitate a smoother service experience, allowing homeowners to ask questions, express concerns, and receive timely updates throughout the process. These factors collectively contribute to making an informed decision when choosing a pest control provider for ant extermination needs.

Get an Ants Extermination Service Quote

Property owners in Coppell, TX use Ants Extermination Service services for practical projects around their homes and businesses. The sections below highlight everyday jobs and straightforward project options.

Ants Extermination Service
Ants Extermination Service

Ants extermination services are often sought by property owners in Coppell, TX, facing persistent ant invasions that disrupt daily living or compromise cleanliness. Common situations include noticing ant trails around kitchens, bathrooms, or entry points, which can indicate an ongoing infestation. Local service providers can help address these issues by identifying the source of the ants and implementing targeted treatments to eliminate them effectively, helping homeowners maintain a hygienic environment.

Additionally, property owners may seek ant extermination when preparing for special events or seasonal changes that tend to increase ant activity. Preventative treatments can be useful for those wanting to avoid future invasions or to protect outdoor spaces such as gardens and patios. Local extermination professionals offer solutions tailored to the specific needs of Coppell residents, helping to keep properties ant-free and comfortable year-round.

Get an Ants Extermination Service Quote

How do ant extermination services work? Ant extermination services typically involve inspecting the property to identify ant entry points and nests, followed by targeted treatments to eliminate the colony and prevent future infestations.

Are ant treatments safe for pets and children? Most professional ant treatments are designed to be safe when applied properly; however, it’s recommended to discuss any concerns with the service provider before treatment.

How long does an ant extermination treatment last? The effectiveness duration varies depending on the treatment method and the extent of the infestation, with many treatments providing long-term control when combined with ongoing prevention measures.

What are common signs of an ant infestation? Signs include visible ant trails, small piles of dirt near entry points, and the presence of ants around food sources or in hidden areas inside the home.

How can I prevent future ant infestations? Preventative measures include sealing entry points, maintaining cleanliness, removing food and water sources, and consulting with a local pest control professional for ongoing prevention strategies.

Ants Prevention Strategies - Local pest control providers can advise on methods to prevent ant infestations through sanitation and habitat modification.

Inspection and Identification - Pros can identify ant species and locate nesting sites to develop targeted extermination plans.

Natural and Chemical Treatments - Service providers offer a range of treatment options to effectively eliminate ant colonies around residential and commercial properties.

Ongoing Monitoring and Maintenance - Professionals can establish regular inspections to ensure ant problems do not recur over time.

Ants Extermination Service

Considering Ants Extermination Service for a property in Coppell, TX? The sections above highlight common project types, practical options, and details that often shape the scope of work.

When you are ready, use the quote form to share a few details about your project. Local pros can review the basics and respond with options that match what you have in mind.

Get an Ants Extermination Service Quote

Ants Extermination Quotes

Our Trusted Partners
Cantu Pest Control
Orkin
Hawx Pest Control