Local Service Overview

Get Ant Control Service in Aubrey, TX

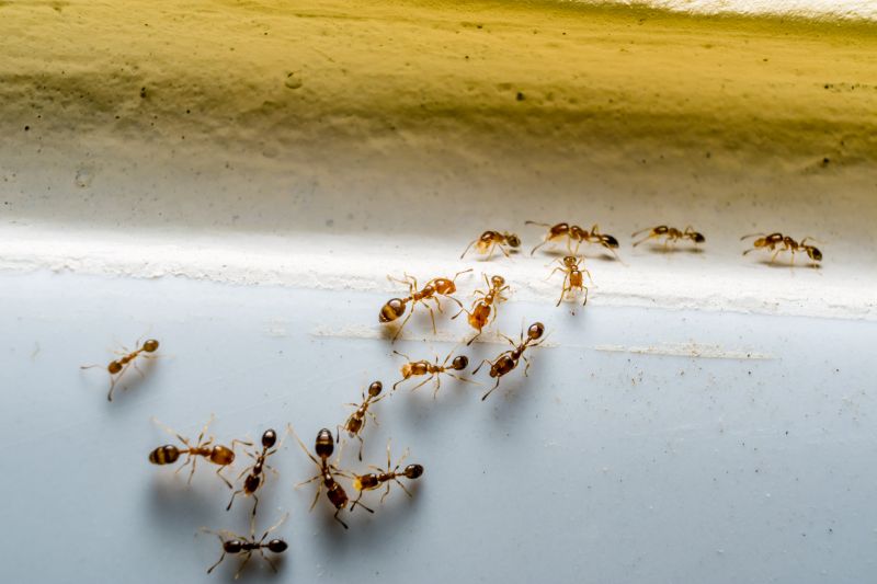
Ant Control Service providers in Aubrey, TX, handle ant infestations, prevent future invasions, and manage residential and commercial ant-related problems.

Aubrey, TX

Ant control services in Aubrey, TX are essential for property owners seeking to maintain a comfortable and safe living environment. Effective ant management helps prevent infestations that can disrupt daily activities and compromise the safety of residents. By addressing ant issues promptly, property owners can enjoy a more functional space with reduced concerns about pests invading kitchens, storage areas, or outdoor living spaces, enhancing overall comfort and peace of mind.

Additionally, professional ant control contributes to the durability and curb appeal of a property. Keeping ants at bay helps protect landscaping, structures, and foundations from potential damage caused by nests or excessive pest activity. Well-maintained exteriors and pest-free surroundings also boost the visual appeal of a property, making it more inviting and easier to maintain. Engaging experienced service providers can ensure long-lasting results and minimize ongoing maintenance needs.

Get Ant Control Service Quotes

  • Ant Control services are needed when ants invade homes or businesses, creating persistent infestations.
  • Ant Control is essential for properties experiencing recurring ant problems in residential or commercial settings.
  • Ant Control may be required in areas with outdoor ant activity threatening to enter indoor spaces.
  • Ant Control services are useful when ant colonies are located near structures, risking further infestation.
  • Ant Control is recommended for properties in regions where ant populations are common and difficult to manage without professional help.

Get Ant Control Service Quotes

Ant Control Service
Ant Control Service
Ant Control Service

Ant control services involve the identification and elimination of ant infestations within residential, commercial, or industrial properties. Service providers typically conduct thorough inspections to locate ant colonies and determine the species involved. Based on the findings, they implement targeted treatment strategies that may include baiting, trapping, or applying insecticides to affected areas. These services aim to reduce ant populations effectively and prevent future invasions, ensuring a safer and more comfortable environment for property occupants.

Ant problems can cause significant nuisances, including property damage and health concerns. Certain ant species, such as carpenter ants, are known to damage wood structures, compromising the integrity of buildings over time. Other species, like fire ants, pose stinging threats to residents and visitors, especially during outdoor activities. Ant control services help address these issues by reducing the presence of problematic colonies, thereby minimizing the risks associated with bites, allergic reactions, and structural damage.

Properties that typically utilize ant control services include homes, apartment complexes, restaurants, retail stores, and office buildings. Residential properties often seek treatment to eliminate ant trails and prevent infestations from spreading within living spaces. Commercial properties, especially those involved in food service or retail, prioritize pest control to maintain hygiene standards and comply with health regulations. Additionally, outdoor spaces such as gardens, patios, and playgrounds may also require pest management to keep ant populations in check and ensure safe, pest-free environments.

Professional ant control services are essential for addressing persistent or severe infestations that DIY methods may not resolve effectively. Service providers use specialized techniques and products designed to target ant colonies at their source, reducing the likelihood of recurring problems. Regular inspections and treatments can help maintain control over ant populations, especially in areas prone to infestations due to proximity to outdoor nesting sites or favorable conditions. Contacting local pest control specialists can provide tailored solutions to meet the specific needs of each property.

The overview below groups typical Ant Control Service projects into broad ranges so you can see how smaller, mid-sized, and larger jobs often compare in Aubrey, TX.

In many markets, a large share of routine jobs stays in the lower and middle ranges, while only a smaller percentage of projects moves into the highest bands when the work is more complex or site conditions are harder than average.

Initial Inspection - The cost for a comprehensive ant control inspection typically ranges from $50 to $150. Prices may vary based on property size and complexity of the infestation. Local service providers can assess the extent of the problem and recommend treatment options.

Treatment Services - Ant control treatments generally cost between $100 and $300 per service. The price depends on the severity of the infestation and the type of treatment applied, such as baiting or spraying. Multiple visits may be necessary for persistent ant problems.

Follow-Up Visits - Follow-up treatments usually range from $50 to $150 each. These visits ensure that ant activity is fully controlled and may be required periodically, especially in high-risk areas or for ongoing prevention.

Barrier Treatments - Applying barrier treatments around a property typically costs between $200 and $500. This approach helps prevent future ant invasions and is often recommended as part of a long-term pest management plan.

Actual totals will depend on details like access to the work area, the scope of the project, and the materials selected, so use these as general starting points rather than exact figures.

Get an Ant Control Service Quote

Ant Control services connect homeowners with local pest control providers experienced in managing ant infestations effectively. These professionals can assess the extent of the problem and recommend appropriate treatment options.

Ant Baiting and Trapping services facilitate access to specialists skilled in deploying baiting and trapping solutions to reduce ant populations. Contact local providers for tailored strategies to address specific ant species.

Residential Ant Extermination services link residents with local exterminators who offer targeted treatments for ant issues within homes and living spaces. Experts can help eliminate colonies and prevent future invasions.

Commercial Ant Control services connect business owners with pest management providers capable of handling ant problems in commercial environments. These services aim to minimize disruption and maintain hygiene standards.

Natural and Chemical Treatment Options services provide access to local providers offering a range of treatment methods suited to different preferences and infestation levels. Professionals can advise on the most effective solutions.

Preventative Ant Control services link users with local specialists who focus on implementing measures to prevent future ant invasions. These services often include inspection and barrier treatments to protect properties.

Ant Control Service

When selecting a professional for ant control services, it’s important to consider the experience of local contractors. A seasoned provider typically has a history of handling various ant infestations and can offer insights into effective treatment methods based on their familiarity with the area. Homeowners should look for service providers who can clearly communicate their approach and explain what to expect from the treatment process, ensuring transparency and understanding throughout the service.

Reputable references and reviews can serve as valuable indicators of a contractor’s reliability and quality of work. Homeowners are encouraged to seek out local pros who can provide testimonials or references from previous clients in Aubrey, TX, or nearby communities. These references can offer insights into the contractor’s professionalism, effectiveness, and customer satisfaction, helping to inform a well-rounded decision.

Effective communication is essential when working with local service providers for ant control. Homeowners should prioritize contractors who are responsive, clear in their explanations, and willing to answer questions about their methods and expectations. Establishing open lines of communication can help ensure that the homeowner’s concerns are addressed and that the service process proceeds smoothly, fostering confidence in the chosen local pros.

Get an Ant Control Service Quote

Property owners in Aubrey, TX use Ant Control Service services for practical projects around their homes and businesses. The sections below highlight everyday jobs and straightforward project options.

Ant Control Service
Ant Control Service

Ant control services are often sought after by property owners in Aubrey, TX, dealing with persistent ant infestations that threaten the comfort and hygiene of their homes and businesses. Common situations include encountering large ant colonies in kitchens, basements, or outdoor areas, especially during warmer months when ants become more active. Property owners may look for professional assistance to effectively eliminate these pests and prevent future invasions, ensuring a safe and clean environment.

Additionally, property owners may seek ant control services when they notice signs of ant activity near foundations, entry points, or garden areas. Such issues can lead to concerns about potential damage to structures or contamination of food supplies. Local service providers can offer targeted solutions to address these concerns, helping to maintain the integrity of the property and reduce the likelihood of recurring ant problems.

Get an Ant Control Service Quote

How do ant control services work? Ant control services typically involve inspecting the property to identify ant entry points and nests, then applying targeted treatments to eliminate colonies and prevent future infestations.

Are ant control treatments safe for pets and children? Most ant control products used by professionals are formulated to be safe when applied correctly; however, it is advisable to follow any specific safety instructions provided by the service provider.

How long does an ant control treatment last? The effectiveness of an ant control treatment can vary depending on the method used and the severity of the infestation, with many treatments providing protection for several weeks to months.

Will I need multiple treatments to control ants? In some cases, a single treatment may be sufficient, but persistent or large infestations might require follow-up services to fully eliminate ants.

How can I prevent future ant problems? Preventative measures include keeping surfaces clean, sealing entry points, removing food sources, and scheduling regular inspections with local pest control providers.

Ant Inspection and Identification - Local professionals can assess your property to identify ant species and determine infestation severity.

Targeted Ant Baiting and Trapping - Pros may implement baiting strategies to effectively reduce ant populations around your home or business.

Barrier and Exclusion Treatments - Service providers can apply treatments to create physical barriers that prevent ants from entering indoor spaces.

Ongoing Monitoring and Prevention Plans - Experts can develop customized plans to monitor ant activity and help prevent future infestations.

Ant Control Service

Considering Ant Control Service for a property in Aubrey, TX? The sections above highlight common project types, practical options, and details that often shape the scope of work.

When you are ready, use the quote form to share a few details about your project. Local pros can review the basics and respond with options that match what you have in mind.

Get an Ant Control Service Quote

Ant Control Quotes

Our Trusted Partners
Cantu Pest Control
Orkin
Hawx Pest Control